sh-jordan 님의 블로그
고양이 이물질 사고, 이물질 삼켰을 때, 이물질 구토 대처 총정리 본문

고양이 이물질 사고 시 생명을 구하는 응급처치법 완벽 가이드



고양이가 이물질을 삼켰을 때는 2-3시간 내 골든타임을 활용한 신속한 응급처치가 생명을 좌우합니다. 평소 구토를 하지 않던 젊은 고양이가 3회 이상 구토한다면 이물질 섭취 가능성이 97%에 달한다는 수의학 통계가 있어요.
고양이 이물질 사고의 이해와 위험성
고양이 이물질 사고, 이물질 삼켰을 때, 이물질 구토 대처에 대해 궁금하신 분들은 아래를 참고하세요!
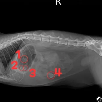
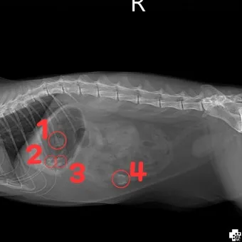
고양이 이물질 사고는 단순히 "변으로 나올 거야"라고 생각할 문제가 아닙니다. 실제로 내가 키우던 3살 터키시 앙고라가 털실을 삼켰을 때, 처음엔 괜찮아 보였거든요.
그런데 그날 밤부터 심한 구토가 시작됐어요. 다행히 새벽에 응급실로 달려가서 내시경으로 제거할 수 있었는데, 만약 조금만 늦었다면 개복수술을 해야 했을 거라고 하더라고요.



일상에서 고양이가 삼키기 쉬운 위험 이물질 6가지
끈 종류가 가장 위험해요. 끈 모양의 이물질을 섭취하면 설사약을 투여하거나 압력을 가해도 잘 나오지 않기 때문이다. 또 장내에 머무르면 개복수술을 해도 완전히 꺼내기 어려운 경우가 있으며 시간이 지나면 장이 괴사 되어 복막염까지 일으킬 수 있다.
• 고무줄, 끈, 실, 리본 (장을 주름지게 만들어 찢어뜨릴 위험)
• 비닐봉지 (질식 위험과 장폐색 동시 발생)
• 작은 장난감 부품 (5cm 이하는 삼킬 가능성 높음)
• 양말, 니트 의류 (집사 냄새 때문에 울 서킹 증상으로 섭취)
• 우레탄 매트 조각 (의외로 고양이가 좋아하는 식감)
• 바늘, 클립 등 금속류 (산화작용으로 중독 위험)
근데 정말 예상치 못한 게, 욕실 매트나 요가매트 같은 우레탄 소재도 고양이들이 자주 뜯어먹는대요. 그 쫄깃한 식감을 좋아한다니.. 정말 주의해야겠어요 ^^
이물질 섭취 증상 구별법과 응급 신호
식욕부진, 기력 저하, 그리고 구토는 이물질을 삼켰을 때의 주된 증상이다. 특히 장이 막히면 하루 10번 이상 구토를 하기도 한다. 이런 증상들은 시간이 지날수록 생명을 위협할 수 있어요.



• 3회 이상 연속 구토 (특히 평소 구토 안 하던 고양이)
• 하루 10회 이상 구토 (장폐색 가능성)
• 24시간 이상 식사 거부
• 침흘림과 함께 불편한 자세 유지
• 복부 팽창과 만졌을 때 단단함
• 변비 또는 혈변
전문 동물병원의 이물질 사고 케이스를 보면, 증상 발현 시간이 정말 다양하더라고요. 어떤 고양이는 즉시 구토를 시작하고, 어떤 아이는 2-3일 후에야 증상이 나타나기도 해요.
즉시 실행할 응급처치법과 골든타임 활용



고양이 이물질 사고에서 가장 중요한 건 골든타임이에요. 고양이가 이물질을 섭취했을 경우 위 내에 정체하는 시간은 일반적으로 2~3시간 정도입니다. 그래서 해당 시간 내에 동물병원에 방문하셔서 상담 후 처치를 진행하셔야 합니다.
발견 즉시 2-3시간 내 대처 방법
절대 하면 안 되는 것들부터 말씀드릴게요:



• 구토 유도 시도 (날카로운 물체나 금속은 장기 손상 위험)
• 입이나 항문에 보이는 이물질 억지로 빼내기
• 음식이나 물 급여 (수의사 지시 없이는 절대 금지)
• "변으로 나올 거야" 하며 기다리기
실제로 내 지인이 고양이가 실을 삼켰을 때 억지로 빼내려다가 더 큰 사고가 날 뻔했어요. 바깥에서 보이는 것은 아주 조금일지 몰라도 몸 안에서는 내장까지 이어져 있을 수도 있기 때문이다. 특히 실이나 긴 끈의 경우 함부로 빼내려 당길 경우 내장 기관에 심한 상처를 주거나 심하면 창자가 끊어져 버릴 수도 있을 만큼 위험하다.
올바른 응급처치 순서:
1. **고양이 상태 확인**: 의식이 있는지, 호흡이 정상인지 체크



2. **추가 섭취 차단**: 주변에 위험한 물건들 모두 치우기
3. **즉시 병원 연락**: 어떤 이물질을 언제 얼마나 섭취했는지 정확히 전달
4. **이동 준비**: 고양이를 안정시키고 캐리어에 넣어 이동



구토 유형별 대응 전략과 주의사항
구토 색깔과 형태로 상황을 파악할 수 있어요. 혈흔이 섞인 구토는 소화관 출혈, 위궤양, 종양, 소화기 문제 등으로 인해 발생할 수 있습니다. 혈흔이 섞인 구토는 심각한 문제를 나타낼 수 있으므로 즉시 수의사를 찾아가야 합니다.
• 투명한 액체 구토: 12-24시간 금식 후 소량 급여 시작
• 혈흔 섞인 구토: 즉시 응급실 방문 (생명 위험)
• 음식물 구토: 섭취 시간과 양 기록 후 병원 상담
• 거품 구토: 스트레스성일 수 있으나 반복시 검사 필요
근데 정말 중요한 건, 구토할 때 고양이가 어떤 자세를 취하는지도 봐야 해요. 평소와 다르게 웅크리고 있거나 복부를 만지는 걸 싫어한다면 복통이 심하다는 신호거든요.
24시간 응급실 정보 미리 준비하기

이물질 사고는 주로 밤이나 주말에 발생해요. 이러한 상황을 대비해 집에서 가장 가까운 24시간 운영하는 동물병원을 미리 알아두는 것이 좋습니다. 평소에 응급실 연락처와 위치를 휴대폰에 저장해두세요.
이물질 사고 예방과 환경 관리법
예방이 최고의 치료법이라는 말, 정말 맞아요. 우리 집 환경을 고양이 입장에서 다시 한번 체크해보는 게 필요해요.
집안 안전 체크리스트와 고양이 행동 이해
위험구역별 체크포인트:

**거실**: 전선 정리, 작은 장난감 치우기, 리모컨 끈 제거
**침실**: 양말, 속옷, 머리끈 서랍에 보관
**화장실**: 면봉, 고무줄, 사용한 치실 즉시 처리



**주방**: 비닐봉지, 고무장갑, 랩 롤 등 밀폐 보관
• 2살 미만 고양이는 호기심이 가장 왕성 (특별 주의)
• 샴, 버미즈 품종은 울 서킹 증상 빈발
• 스트레스받을 때 이상 행동 증가
• 사냥 본능으로 움직이는 것에 관심 집중
실제로 내가 키우는 고양이들 보면, 각자 관심사가 달라요. 한 아이는 끈에 환장하고, 다른 아이는 비닐 소리에 미쳐요. 그래서 각 고양이 성향을 파악해서 맞춤 관리하는 게 중요하더라고요.
장기적 예방 전략과 응급상황 대비책
환경 풍부화로 스트레스 줄이기
고양이 이물질 사고, 이물질 삼켰을 때, 이물질 구토 대처에 대해 더 알고싶은 내용은 아래를 확인하세요!
고양이가 이물질을 먹는 이유 중 하나가 스트레스예요. 특히 강박장애나 감각과민증후군이 있는 고양이들은 더 그렇죠. 충분한 놀이시간과 스크래처, 숨을 곳 제공이 필수에요.
정기 건강검진의 중요성
이물질 섭취가 습관화된 고양이들이 있어요. 이런 경우 갑상선 기능 항진증이나 다른 질병이 원인일 수 있거든요. 6개월마다 정기검진으로 미리 문제를 찾아내는 게 좋아요.
• 24시간 응급 동물병원 연락처 저장
• 고양이 캐리어 접근 쉬운 곳에 비치
• 응급처치 관련 수의사 연락처
• 고양이 건강 기록부 정리
• 이물질 섭취 시 행동 매뉴얼 숙지
응급상황 시 소통 요령
고양이 이물질 사고, 이물질 삼켰을 때, 이물질 구토 대처에 대한 보다 자세한 내용은 아래 내용을 확인해보세요!
병원에 연락할 때는 정확한 정보 전달이 생명을 좌우해요. "언제, 무엇을, 얼마나" 삼켰는지, 현재 고양이 상태는 어떤지 구체적으로 말해야 해요. 당황해서 말이 안 나올 수 있으니 미리 메모해두는 것도 좋은 방법이에요.
마무리: 골든타임을 놓치지 않는 것이 핵심
고양이 이물질 사고는 예상보다 흔하게 일어나는 응급상황이에요. 하지만 올바른 지식과 신속한 대처로 충분히 예방하고 대응할 수 있어요.
기억하세요. 2-3시간 골든타임 내 병원 방문이 수술 없이 해결할 수 있는 마지막 기회입니다. 구토를 유도하거나 이물질을 빼내려 하지 말고, 즉시 전문가의 도움을 받으세요.
무엇보다 평소 예방이 최선입니다. 집안 환경을 다시 한번 점검하고, 고양이의 행동 패턴을 이해해서 사고를 미연에 방지하는 게 가장 중요해요. 우리 소중한 고양이들이 안전하고 건강하게 살 수 있도록, 오늘부터 실천해보면 어떨까요?
볼만한 글







